Skip to content
  • Weiter zu:
  • Schadbild
  • Lebenszyklus

Allgemeines

Die Zuckerrübeneule (Spodoptera exigua) ist aufgrund ihrer Resistenz gegen nahezu alle Insektizide und ihrer Fähigkeit, sich im Sommer auf wild wachsender Vegetation zu entwickeln, für Anbauer zu einem ständigen Problem geworden. Sie ist sehr polyphag und befällt zahlreiche Pflanzenarten aus mehr als 20 Familien. In Gewächshäusern ist sie ein ernstzunehmender Schädling, der sich von Schnittblumen wie Chrysanthemen, Gerbera, Rosen und auch Topfpflanzen ernährt. Besonders stark befallen werden Paprika, sowohl in Gewächshäusern als auch in Freilandkultur.

Biologische Lösungen für Zuckerrübeneule

Filter:
Alle Filter löschen
Alle anzeigen Weniger anzeigen
gefundene Produkte:

Sie haben Fragen oder brauchen Hilfe?

Nehmen Sie Kontakt mit uns auf
  • Einfach zu verwenden
  • Minimale Resistenz
  • Keine chemischen Rückstände
  • Keine Wartezeit

Mehr erfahren über

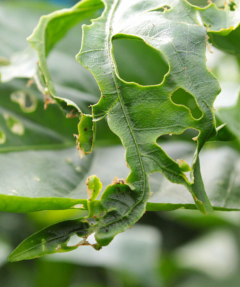
Schadbild

Ältere Raupen wandern an die Spitze der Pflanze, wo sie sich hauptsächlich von den Wachstumsspitzen ernähren. Sie hinterlassen große Löcher im Blatt und fressen es manchmal bis zur Mittelrippe auf. Blüten und Knospen werden ebenfalls befallen. Dieser umfangreiche Schaden wirkt sich erheblich auf das Wachstum der Nutzpflanzen aus. Bei einer entsprechenden Raupenpopulation kann sich der Schaden bis zu den Trieben erstrecken und im schlimmsten Fall auf die Frucht. Oft wird der gesamte Inhalt verzehrt. Bei Zierpflanzen entsteht der größte Schaden durch den Befall von Blüten und Knospen.

Lebenszyklus und Erscheinungsbild der Zuckerrübeneule

Die Zuckerrübeneule (Spodoptera exigua) ist ein kleiner, unscheinbarer Falter, der sich tagsüber verbirgt und nur nachts aktiv ist. Die Vorderflügel sind graubraun mit dunkelbraunem oder schwarzem Anflug. Kopf und Brustbereich sind braun und das Abdomen ist graubraun. Die Vorderflügel tragen eine gelbliche Nierenmakel. Die weißen Hinterflügel haben eine markante braune Aderung.

Die Zuckerrübeneule (Spodoptera exigua) legt ihre Eier in Paketen ab, manchmal in mehreren Schichten, bedeckt mit weißen, baumwollartigen Haaren und Schuppen ihres Körpers. Die Eier, normalerweise grau, aber manchmal grünlich oder rosafarben, werden in Gruppen von 10 bis 250 Eiern bei Nacht gelegt, vorzugsweise im unteren Bereich der Pflanzen auf der Blattunterseite.

Nach mehreren Tagen schlüpfen daraus kleine Raupen mit blasser, gelbgrüner Grundfärbung. Ihre Farbe ändert sich allmählich in gelb, grün, braun oder sogar schwarz. Farbe und Muster der Raupen sind sehr unterschiedlich und hängen teilweise von der Wirtspflanze, der Entwicklungsphase und dem Klima ab. Eine ausgewachsene Raupe der Zuckerrübeneule (Spodoptera exigua) kann 25 bis 38 mm lang sein, hat einen dunklen, unregelmäßigen Rückenstreifen und ein breites gelbes Seitenband, über dem sich auf jedem Segment ein schwarzer Punkt befindet.

Die jungen Raupen leben in Gruppen und weben ein lockeres Gespinst über die Blätter, unter dem sie bis zum dritten oder vierten Larvenstadium bleiben. Ältere Raupen sind aktive Wanderer und können beträchtliche Entfernungen zurücklegen. Raupen aus den gleichen Eigelegen können daher an verschiedenen Stellen der Kultur Schaden verursachen. Die Zuckerrübeneule (Spodoptera exigua) frisst hauptsächlich nachts und verbirgt sich am Tag; jüngere Larven fressen auch tagsüber. Ausgewachsene Raupen wandern zum Boden, wo sie sich verpuppen. Die Verpuppung findet normalerweise auf der Erdoberfläche in einem lose gesponnenen Kokon statt, der aus mit klebrigem Sekret zusammengehafteten Bodenpartikeln besteht. Manchmal kann man sie auch an der Pflanze beobachten. Die Puppen sind braun, 15 bis 20 mm lang und ähneln denen von anderen Nachtfaltern. Nach fünf oder zehn Tagen schlüpft der adulte Falter aus der Puppe.

Brauchen Sie Hilfe?